Multi-scale mitochondrial cristae remodeling links Opa1 downregulation to reduced OXPHOS capacity in aged hearts

Molina-Riquelme et al., 2025 (PNAS)


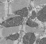
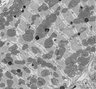
Aging is closely associated with cardiovascular diseases, the leading cause of mortality worldwide. Mitochondrial dysfunction is a hallmark of cardiovascular aging. Most of the heart's ATP is produced at the cristae, specialized sub-compartments where oxidative phosphorylation (OXPHOS) takes place. In this study, we used multiple-scale electron microscopy approaches to evaluate age-related mitochondrial and ultrastructural alterations of cristae in human and mouse hearts. We found that aged patients’ hearts displayed reduced cristae density as seen by transmission electron microscopy (TEM), even before any significant decline in the expression of cristae-shaping proteins. Similarly, a multi-scale approach that included TEM and serial block-face scanning electron microscopy (SBF-SEM) showed that in aged mice’s hearts cristae undergo ultrastructural remodeling processes, resulting in a decrease in cristae density and width. Electron tomography suggests an apparent decline in cristae connectivity, and an increase in fenestration size. These changes were linked to Opa1 downregulation, accompanied by reduced maximal OXPHOS respiration, but unrelated to alterations in the abundance of OXPHOS core subunits and ATP synthase assembly. Altogether, this indicates that alterations in cristae structure alone are sufficient to impair oxidative metabolism, which highlights its potential as an early signal of cardiac aging, even before noticeable changes in mitochondrial morphology occur.

0_Publication_INFO

  • Datasets: 1
  • Images: 4

View details »

Figure 3

  • Datasets: 5
  • Images: 2593

View details »

Figure 5

  • Datasets: 4
  • Images: 221

View details »

Figure S3

  • Datasets: 2
  • Images: 46

View details »

Figure S4

  • Datasets: 2
  • Images: 70

View details »